Education every new parents knows the feeling nothing more than for everyone to get at some sleep.But at least you’ve got Google. start building your first prototype today!

Get in Touch

Address

06 Mymen KR. New York City

Phone

+02596 5874 59857

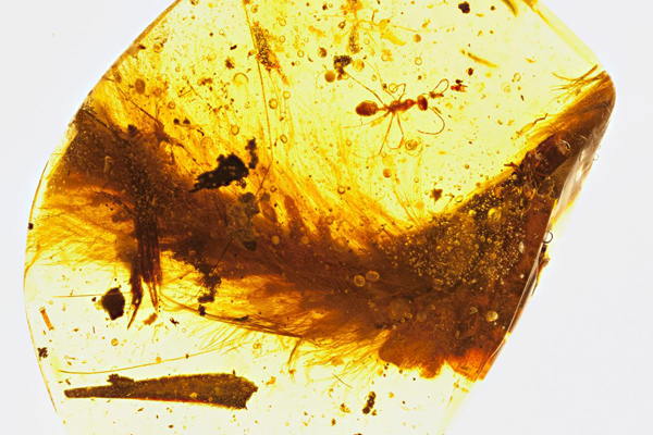
ඇම්බර් කුට්ටියක් තුළ සංරක්ෂිතව තිබූ පිහාටු සහිත ඩයිනෝසර් වර්ගයේ සතකුගේ වලිගයක් මියන්මාරයෙන්  හමුවී ඇති බව විදෙස් මාධ්‍ය වාර්තා කරයි. ඩයිනෝසර් සතකුට අයත් කොටසක් ඇම්බර් තුළ තිබී හමුවූ ප්‍රථම අවස්ථාව මෙය බව කැනඩා රාජකීය කෞතුකාගාරයේ විද්‍යාඥ රයන් මැකෙලර් පවසයි.

ඩයිනෝසරයන් ජීවත්වූවායැයි සැලකෙන්නේ මෙයින් අවුරුදු දශලක්ෂ 160කට පමණ පෙරදීය. මියන්මාරයේ මිට්කිනා නගරයේ ඇම්බර් වෙළඳපොලක තිබී මෙම ෆොසිලය සහිත ඇම්බර් කුට්ටිය සොයාගෙන ඇත්තේ චිනයේ බීජිං විශ්ව විද්‍යාලයේ විද්‍යාඥ ලිඩා සිං විසිනි. (ලංකාදීප-සිරංගිකා ලොකුකරවිට)

PHOTOGRAPH BY R.C. MCKELLAR, ROYAL SASKATCHEWAN MUSEUM

 06_dinosaur_tail.adapt.1190.1

 

0 Comments

Leave a Reply

Reply To:

Name - Reply Comment

Save my name, email, and website in this browser for the next time I comment.